Área do Cliente
|
Acesse pelo celular

LOTEAMENTO VERBO DIVINO (PUC)

Terreno Lote Urbano - Vila Becker Residencial para Venda em Toledo

|
Compartilhe:
Total para Acessórios valores sujeitos a alteração.

Venda

(ITBI, Registro, Escritura e Certidões)
Consulte-nos
Residencial
Finalidade
1619
Referência
490.00 m²
A. Terreno
Descrição do Imóvel

Terreno residencial.
Ter. 490m² ( 14mx35m)

Simule um Financiamento

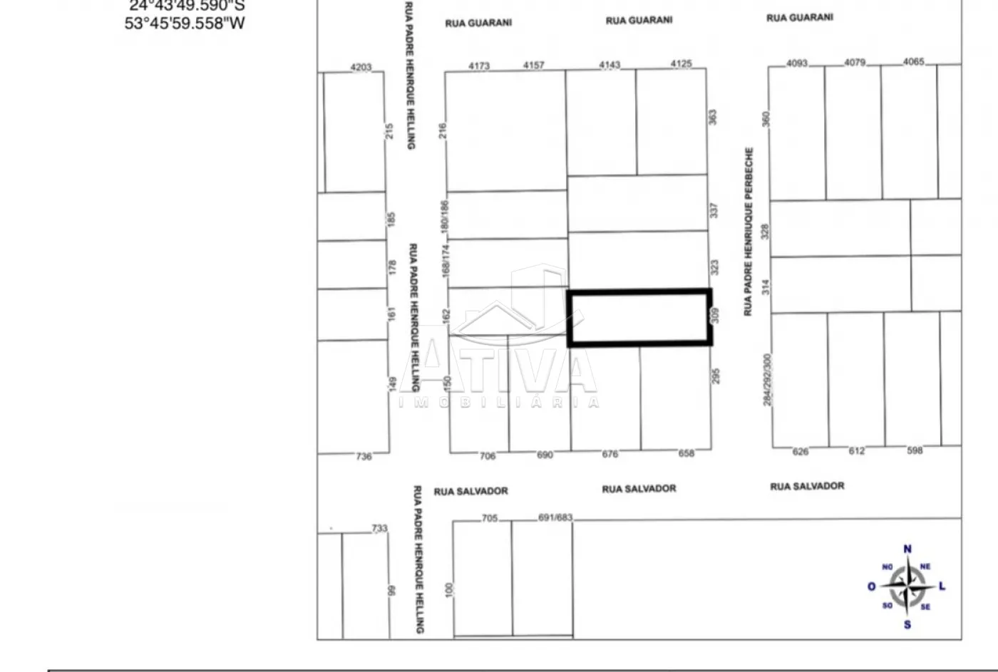
Localização Terreno / Lote Urbano em Toledo


Venda

(ITBI, Registro, Escritura e Certidões)
Consulte-nos

Total
490.000,00

DÚVIDAS SOBRE O IMÓVEL
PREENCHA O FORMULÁRIO


Concordo com os Termos e Privacidade
Imóveis Similares